El pronostico del tiempo

Pronostico del tiempo para hoy 25 de octubre: El norte estara frio con tormentas electricas en todo el pais

|

Pronostico del tiempo para hoy 25 de octubre en el norte y algunas zonas de la region central estara frio debido al impacto del aire frio solo en las zonas montañosas del norte estara frio.

Pronostico del tiempo para hoy 24 de octubre: El aire frio provoca lluvia y frio generalizado

|

Pronostico del tiempo para hoy 24 de octubre el norte y el centro de Vietnam seguiran sufriendo el impacto del aire frio.

Horario de mañana 24 de octubre: El norte mas frio por debajo de los 10 grados C llueve en el centro y sur

|

Pronostico del tiempo para mañana 24 de octubre Bac Bo seguira siendo frio temprano en la mañana dias frios. Trung Bo y Nam Bo chubascos tormentas electricas localmente lluvias fuertes a muy fuertes.

La depresion tropical entra oficialmente en el Mar de China Meridional se pronostica una zona fuertemente afectada

|

Se pronostica que al mediodia del 23 de octubre la depresion tropical ha entrado en la zona maritima oriental del Mar del Norte.

Prevision del clima de Hanoi hasta cuando estara frio

|

Se pronostica que la ola de aire frio intensificado afectara al clima del norte y del centro del pais. La temperatura en Hanoi disminuira profundamente cerca de la mañana estara frio.

Nueva depresion tropical entra en el Mar de China Meridional justo despues de la tormenta numero 12

|

Mientras que la tormenta numero 12 Fengshen se debilita al tocar tierra en Da Nang una nueva depresion tropical entrara en el Mar Oriental hoy 23 de octubre.

El clima en Hanoi es frio 17 grados C con un aire frio intensificado mas fuertemente

|

El clima de Hanoi es sombrio por la noche y por la mañana el clima frio debido al fuerte aumento del aire frio ha afectado a la region del norte.

Pronostico del tiempo para hoy 23 de octubre: Tormenta numero 12 azota tierra con fuertes lluvias de mas de 700 mm

|

Pronostico del tiempo para hoy 23 de octubre: la tormenta numero 12 tocara tierra oficialmente en la zona continental central causando fuertes lluvias generalizadas.

Horario de mañana 23 de octubre: Tormenta azota tierra nueva depresion tropical entra en el Mar Oriental

|

Pronostico del tiempo para mañana 23 de octubre fuertes lluvias prolongadas cuando la tormenta numero 12 Fengshen toque tierra oficialmente en Da Nang. Al mismo tiempo la nueva depresion tropical entrara en el Mar Oriental.

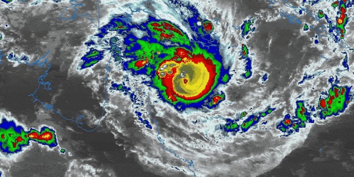
La tormenta numero 12 Fengshen se acerca a tierra firme con fuertes lluvias que azotan Quang Tri - Da Nang

|

Se pronostica que la tormenta numero 12 Fengshen se acercara a la zona continental central y tocara tierra alrededor del 23 de octubre.

El aire frio se intensifica fuertemente a partir de esta tarde el norte se vuelve frio

|

Se pronostica que en la mañana del 22 de octubre el aire frio ha afectado a algunos lugares del centro-norte. La fuerte ola de aire frio se intensificara esta tarde.

Tormenta numero 12 a 270 km de Da Nang con fuertes lluvias de mas de 900 mm

|

Se pronostica que la tormenta numero 12 Fengshen tocara tierra mañana 23 de octubre causando fuertes lluvias generalizadas.

El clima cambiante ante el doble impacto de la tormenta numero 12 y el aire frio

|

El pronostico del tiempo del norte y centro de Vietnam se ve afectado por el aire frio combinado con la circulacion de la tormenta numero 12 Fengshen.

Pronostico del tiempo para hoy 22.10: El aire frio es mas fuerte en el norte hace frio

|

El pronostico del tiempo para hoy 22 de octubre es que la tormenta numero 12 Fengshen se acercara al centro de Vietnam mientras que el aire frio se intensifica. El norte y el centro de Vietnam tendran lugar de frio y tormentas.

Pronostico del tiempo para mañana 22.10: La tormenta numero 12 se dirige hacia el centro de Vietnam con fuertes lluvias y vientos

|

Pronostico del tiempo para mañana 22 de octubre: la tormenta numero 12 Fengshen acelera su paso por tierra en el centro de Vietnam entra en una ola de fuertes lluvias localmente habra mas de 900 mm de lluvia.