Sociedad

Noticias de las 20h: Se espera que el salario base aumente a 2,53 millones de VND a partir del 1 de julio

|

Noticias de las 20h del 31 de marzo: Se propone aumentar el salario base para 9 grupos objetivo a 2,53 millones de VND;...

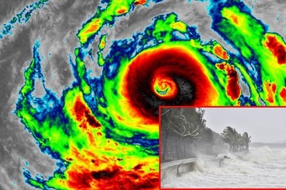
Boletín meteorológico para esta noche y mañana 1 de abril

|

Último pronóstico del tiempo 1 de abril: El norte se vuelve fresco, el sur todavía tiene calor. A continuación se presentan los pronósticos detallados para las regiones de todo el país:

El secreto para que la vejez de las personas mayores de la capital sea radiante

|

Hanoi - La conexión proactiva y la participación en actividades comunitarias es el secreto para ayudar a las personas mayores a disfrutar de una vida de vejez radiante.

Caliente Saigón: Ciudad Ho Chi Minh ajusta el nivel de ingresos para comprar viviendas sociales

|

Noticias Calientes de Saigón del 31 de marzo: Ciudad Ho Chi Minh ajusta el nivel de ingresos para comprar viviendas sociales; Registro para recibir prestaciones por desempleo reducido en un 24,41%...

El aire frío está a punto de causar tormentas eléctricas en el norte, riesgo de que aparezcan granizo

|

Debido a la influencia del aire frío comprimiendo la vaguada de baja presión a partir de esta noche 31 de marzo, la región del Norte necesita prevenir el fenómeno de lluvias y tormentas con tornados, rayos, granizo y fuertes ráfagas de viento.

Construir casas por su cuenta en terrenos agricolas puede ser procesado penalmente

|

Construir casas por su cuenta en terrenos agricolas es un acto de violacion de la ley. El infractor puede ser sancionado administrativamente y lo que es mas grave puede ser procesado penalmente.

Regulaciones sobre la divulgacion publica de las finanzas sindicales

|

El articulo 34 de la Ley Sindical 2024 regula la divulgacion de las finanzas sindicales.

El codigo numerico ngu quy 8 mas hermoso de Vietnam 88A-888.88 esta presente en la subasta del 8 de agosto

|

Subasta de matriculas: El 8 de agosto la Compañia de Subastas Unipersonales de Vietnam organizara una subasta de 8.000 matriculas de automoviles hermosas en 5 horas.

Como perdonar la traicion pero aun asi mantenerte a ti mismo

|

Elegir quedarse despues de enfrentar la traicion es algo valiente. Pero como perdonar para no convertir el amor en una carga es lo importante.

Noticias de las 20h: Propuesta para considerar el aumento del marco de personal a nivel de comuna despues de la fusion

|

Noticias de las 20h del 7 de agosto: Propuesta para considerar la regulacion para aumentar el marco de personal a nivel de comuna despues de la fusion; Trabajadores a mas de 20 km de casa registrados para vivienda social en Ca Mau...

El elefante regresa a Hon Mun trayendo alegria al medio ambiente marino de Nha Trang

|

Khanh Hoa - El 7 de agosto un gran pez voi aparecio cerca de la orilla de Hon Mun en la bahia de Nha Trang mostrando señales positivas para el ecosistema marino de Nha Trang.

Peces dentro y fuera de hospitales en Ciudad Ho Chi Minh atrapan a pacientes para que los examinen

|

Ciudad Ho Chi Minh - A pesar de las patrullas policiales y los anuncios de las instalaciones medicas los especuladores hospitalarios siguen lucrando descaradamente con el dinero de las personas que acuden a examenes medicos.

Boletin meteorologico para esta noche y mañana 8 de agosto

|

Ultimo pronostico del tiempo 8.8: El calor vuelve al norte. La region central sigue teniendo calor.

Caliente Saigon: El proyecto del puente Binh Goi de casi 600 mil millones de VND ha alcanzado el 74 4% del volumen

|

Caliente Saigon 7.8: El proyecto del puente Binh Goi de casi 600 mil millones de VND ha alcanzado el 74 4% del volumen; Mañana se anunciaran los resultados de la admision adicional al grado 10 en la ciudad de Ho Chi Minh;...

Pronostico del tiempo para los proximos 3 dias del 8 de agosto al 10 de agosto en las tres regiones

|

Segun la agencia meteorologica el pronostico del tiempo para los proximos 3 dias en la region del norte es generalmente caluroso. El sur tendra lluvia y tormentas dispersas por la tarde y noche dia soleado.

Oportunidades de empleo para la industria de Ingenieria de Control y Automatizacion

|

La demanda de recursos humanos de alta calidad en los campos de la ingenieria el control y la automatizacion esta aumentando rapidamente junto con el desarrollo de la produccion moderna.

Mantener la confianza y la tranquilidad en el trabajo despues de la fusion en Quang Tri

|

Quang Tri - Despues de la fusion de fronteras muchos funcionarios publicos y empleados cambiaron de lugar de trabajo y recibieron apoyo oportuno para estabilizar sus vidas.

Advertencia sobre factores de riesgo que hacen que las personas mayores sean propensas a complicaciones cardiovasculares peligrosas

|

Segun el medico si se detecta a tiempo y se ajustan oportunamente los factores de riesgo se puede controlar y tratar eficazmente las enfermedades cardiovasculares.

Aclarar la responsabilidad de la gestion de la demolicion y el robo de edificios publicos en Hue

|

HUE - Se solicita aclarar la responsabilidad de la gestion la causa de la infraccion del edificio de propiedad publica y al mismo tiempo proponer soluciones para superarla y prevenirla.

Un edificio de apartamentos de mas de 50 años en la ciudad de Ho Chi Minh se esta deteriorando y la gente espera renovarlo pronto

|

Ciudad Ho Chi Minh - Ubicado en el centro del distrito 8 anteriormente el edificio de apartamentos Pham The Hien se ha deteriorado en muchos elementos afectando la vida de las personas aqui.